Болезни и вредители роз
Чтобы ответить в этой теме, войдите на сайт.
- В этой теме 56 ответов, 1 участник, последнее обновление 4 года, 4 месяца назад сделано
Оксана Гула.
-
АвторСообщения
-
18 сентября 2019 в 14:22 #129886
Оксана ГулаМодератор18 сентября 2019 в 14:45 #129889
Оксана ГулаМодераторФиллостиктозная пятнистость
Возбудители — гриб Phyllosticta rosae Desm. и гриб Phyllosticta rosarum Pass.
Симптомы
В первом случае на листьях проявляются разбросанные округлые пятна с широкой пурпурно-коричневой каймой. Со временем центральная часть пятен становится пепельно-серой, но кайма остается прежней. Во втором — кайма имеет багряный цвет.
Поврежденные листья преждевременно желтеют и опадают.18 сентября 2019 в 15:39 #129902
Оксана ГулаМодераторПесталоция
Возбудитель — гриб Pestalotia rosae West.
Симптомы
По краям листовых пластин появляются бурые, разрастающиеся к середине, имеющие желтое окаймление пятна. По верхней части листа на пятнах со временем развиваются сероватые подушечки спороношения гриба. Пораженные листья преждевременно желтеют и засыхают.
18 сентября 2019 в 15:59 #129905
Оксана ГулаМодераторКлещ паутинный обыкновенный (Tetranychus urticae Koch.)
Очень мелкий вредитель (длина тела 0,25 — 0,43 мм). Питается соком молодых тканей растений. Плетет тоненькую паутинку. Поврежденные листочки светлеют, засыхают.
Повреждает свыше 200 видов растений. За вегетационный период развивает более 10 поколений.На фотографиях:
1 — поврежденный лист, 2 — бутон розы, 3 — плоды и, характерная для присутствия клеща, еле заметная паутинка.18 сентября 2019 в 16:15 #129912
Оксана ГулаМодераторЖелезный хлороз (карбонатный или щелочной)
Неинфекционное заболевание причиной которого является избыток растворимой извести в почве, не позволяющий растению в достаточном количестве усваивать железо.
Симптомы
Признаки проявления хлороза начинаются с верхней части побегов. Листья становятся светло-зелеными, желтыми, кремовыми, при том, что жилки еще долго остаются зелеными.
19 сентября 2019 в 1:16 #129965
Оксана ГулаМодераторМучнистая роса
Возбудитель — гриб Sphaerotheca pannosa Lev. var. rosae Voron.
Симптомы
Проявляется на молодых листьях и стеблях с бутонами. Сначала в виде белого мучнистого налета спороношения в виде отдельных пятен, затем (когда пятна сольются) сплошного белого налета.
Постепенно налет становится плотным, серым — в нем формируются мелкие черные плодовые тела зимующей стадии возбудителя. Листья приобретают бурый цвет, сохнут, отпадают.19 сентября 2019 в 1:34 #129970
Оксана ГулаМодератор19 сентября 2019 в 1:50 #129974
Оксана ГулаМодераторРжавчина
Возбудитель — гриб Phragmidium disciflorum (Tode) James.
Симптомы
Поражение можно встретить на молодых побегах, стеблях и листьях. Чаще на штамбовых сортах роз.
На листьях проявляются отдельные округлые пятна без окаймления. С обратной стороны на пятнах формируются многочисленные оранжевые пустулы. На побегах у основания появляются растрескивания из которых выступают споры в виде желтого пылящего порошка. Со временем на этих местах формируются неглубокие бурые язвы.19 сентября 2019 в 12:27 #129986
Оксана ГулаМодератор19 сентября 2019 в 12:40 #129990
Оксана ГулаМодераторЗеленый овощной клоп (Nezara viridula L.)
Цвет взрослого насекомого — зеленый. Длина тела 12-13 мм. Повреждает растения более 30 семейств.
Любит влажные тенистые участки. За вегетационный сезон дает три генерации. Одна самка способна отложить до 300 яиц. Откладывает яйца на нижней стороне листьев. Кладка имеет строго шестиугольную форму. Личинки развиваются в течение месяца, имеют пять возрастов.20 сентября 2019 в 0:59 #130050
Оксана ГулаМодераторОбыкновенный, или европейский, рак
Возбудитель — гриб Neonectria galligena (Bres.) Rossman & Samuels. Широко распространен. Поражает практически все лиственные породы.
Симптомы
Сначала на коре появляются удлиненные бурые пятна. Пятна подсыхают, растрескиваются. Под ними обнаруживаются язвы с приподнятыми краями из каллюсной ткани. С течением времени язвы углубляются и увеличиваются, древесина отмирает.
Чаще встречается на шейке и разветвлении старых ветвей, но может проявляться и на молодых растениях.20 сентября 2019 в 13:33 #130056
Оксана ГулаМодераторСерая гниль
Возбудитель — гриб Botrytis cinerea. Поражает растение целиком — от корневой шейки до бутонов.
Симптомы
Впервые на стеблях можно увидеть после весеннего снятия укрытий в виде побуревших гнилых побегов. Позже в виде удлиненных бурых пятен разрастающихся сверху вниз.
На листьях сначала появляются мелкие бурые пятна, которые позже расползаются по всей пластинке.20 сентября 2019 в 13:44 #130061
Оксана ГулаМодератор20 сентября 2019 в 13:52 #130066
Оксана ГулаМодератор2 октября 2019 в 16:52 #130758
Оксана ГулаМодераторБогомол обыкновенный или религиозный (Mantis religiosa)

На фотографии оотека богомола (капсула с уложенными рядами яйцами).Крупное агрессивно-хищное насекомое поедающее не только вредных, но и полезных насекомых. Окраска варьирует от светло-зеленой, желтоватой до буро-серой, темно-коричневой. Передние конечности приспособлены для хватания пищи, задние бегательные. Не является вредителем роз.
2 октября 2019 в 17:14 #130766
Оксана ГулаМодератор4 октября 2019 в 22:20 #130975
Оксана ГулаМодератор4 октября 2019 в 23:47 #130980
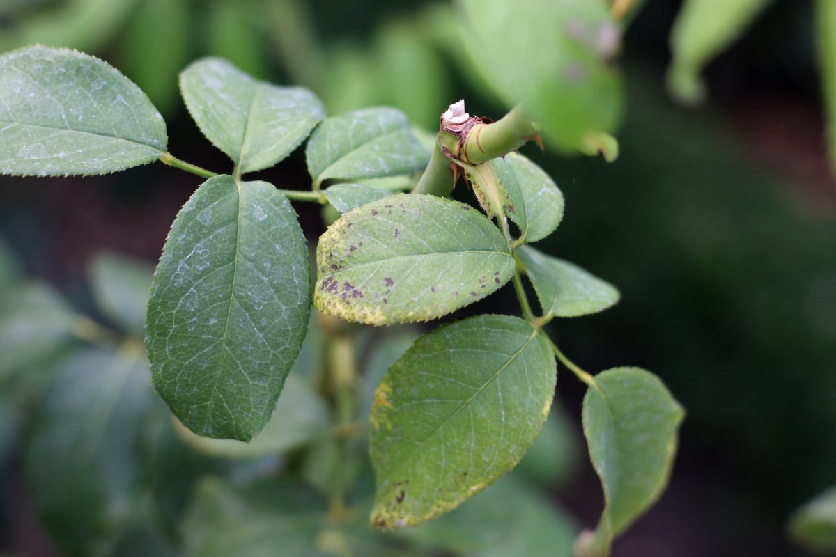
Оксана ГулаМодераторПероноспороз (ложная мучнистая роса)

На фотографиях листья после обработки (голубоватые пятна).Возбудитель – гриб Pseudoperonospora sparsa Jacz.
Симптомы
На листьях появляются небольшие красно-бурые или фиолетовые пятна с нечеткой формой. В зависимости от сорта розы, они могут располагаться либо по всему листу, либо локализироваться вдоль центральных жилок. С обратной стороны листа на месте пятен проявляется мучнистый налет. Иногда вокруг пятен очерчена четкая желтая окантовка. В таком случае лист быстро опадает.
Поражаться могут и молодые побеги, на них появляются красно-бурые пятна, растрескивается кора.5 октября 2019 в 0:16 #130985
Оксана ГулаМодератор20 октября 2019 в 20:07 #131747
Оксана ГулаМодераторДиапортовый рак стеблей
Возбудитель – гриб Diaporthe umbrina Jenk.
Симптомы
На коре появляются сливающиеся между собой небольшие пурпурные пятна, которые постепенно сереют, засыхают и превращаются в неглубокие бурые язвочки, окруженные тонкой темной(пурпурной) каймой. Пораженные стебли со временем засыхают.
20 октября 2019 в 20:16 #131751
Оксана ГулаМодератор20 октября 2019 в 20:59 #131756
Оксана ГулаМодераторДиплодиозный некроз коры
Возбудитель – гриб Diplodia rosarum Fr.
Симптомы
Под корой образовываются многочисленные мелкие чёрные плодовые тела гриба, которые сливаются и практически полностью охватывая ветку. Кора опадает. Пораженный участок ветки засыхает. При сильном поражении на листьях появляются крупные сухие бурые пятна неправильной формы, без окаймления, на которых формируются мелкие плодовые тела зимующей стадии гриба.
20 октября 2019 в 21:13 #131760
Оксана ГулаМодератор21 октября 2019 в 15:58 #131845
Оксана ГулаМодератор27 октября 2019 в 4:35 #132258
Оксана ГулаМодераторЩитник (клоп) зеленый древесный (Palomena prasina L.)

(Летом жук имеет сверху оливково-зеленый окрас)Крупное сосущее насекомое из семейства клопов-щитников. Тело имеет слабо-выпуклую форму, сверху оливково-зеленое, снизу зеленовато- или красновато-желтое. К осени спинка окрашивается в ржаво-бурый или буро-фиолетовый цвет.
Вред наносят и клопы, и их личинки. Сосут сок из почек, бутонов, завязей, молодых листочков.
(К осени жук становится сверху ржаво-бурым или буро-фиолетовым)27 октября 2019 в 5:04 #132261
Оксана ГулаМодератор8 ноября 2019 в 16:28 #133022
Оксана ГулаМодераторУсыхание ветвей
Возбудителем выступает целый ряд грибов — Botryosphaeria dothidea (Moug et Fr.) Ces. et d N. В., Eutypa flavovirescens (Hoffт.) Sacc., Cucurbitaria occulta Fckl., Valsella rosae Fckl., Valsa ceratophora rosae Fckl., Microdiplodia rosarum Died., Spaeropsis rosarum Ces. et Ell., Hendersonia canina Brun. Какой из них стал причиной местного поражения можно определить только лабораторным путем.
8 ноября 2019 в 17:38 #133026
Оксана ГулаМодераторВирус бронзовости томата
Возбудитель — вирус Tomato spotted wilt virus (TSWV). Имеет ряд совершенно различных симптомов. Передается трипсами.
Симптомы
Сначала появляются бледные хлоротичные пятна, происходит посветление жилок верхушечных листьев, затем некротизация. Листья желтеют, становятся мелкими.
Другими симптомами могут быть: кольцевая пятнистость, темно-зеленая крапчатость, полосатость, деформация листьев и цветков.8 ноября 2019 в 17:55 #133031
Оксана ГулаМодераторВирус мозаики резухи
Возбудитель — вирус Arabis mosaic virus (ArMV). Имеет широкий круг растений-хозяев, передается нематодами.
Симптомы
Проявляется на листьях мелкими диффузными пятнами, постепенно охватывающими всю листовую пластинку.
Другими признаками могут быть: хлоротичные зоны неправильной формы, высветление мелких жилок, кольцевая пятнистость.8 ноября 2019 в 18:06 #133037
Оксана ГулаМодератор8 ноября 2019 в 18:45 #133041
Оксана ГулаМодератор8 ноября 2019 в 19:18 #133062
Оксана ГулаМодератор8 ноября 2019 в 19:50 #133085
Оксана ГулаМодераторУвядание
Начинается с кончиков побегов и постепенно спускается вниз.
Возможные причины:
— недостаток влаги;
— длительный застой влаги в зоне корней;
— механические повреждения корневой системы (при пересадке или обработке почвы);
— заболевания — рак стеблей, мучнистая роса, черная пятнистость;
— недостаток элементов питания — калия, кальция, фосфора или бора;
— обморожение.8 ноября 2019 в 20:33 #133092
Оксана ГулаМодераторПурпуровая пятнистость (сфацелома)
Возбудитель — гриб Sphaceloma rosarium (Pass.) Jenk. {=Phyllosticta rosarium Pass., Gloeosporium rosarium (Pass.) Grove.}.
Симптомы
На верхней стороне листьев образуются мелкие множественные округлые пурпурные, иногда даже черные (но не путать с черной пятнистостью) пятна. Не редко багряные полосы. Со временем цвет пятен меняется на серый, но багряность не исчезает полностью. На нижней стороне листьев сливающиеся коричневые пятна.
Пораженные листья опадают, цветки недоразвиты.8 ноября 2019 в 20:52 #133100
Оксана ГулаМодераторСепториозная пятнистость
Возбудитель — гриб Septoria rosae Desm.
Симптомы
На листьях появляются многочисленные темно-бурые, разбросанные, округлые пятна, центр которых некротизируется и становится серым. Пятна окружает тонкий бурый ободок. пораженные листья желтеют и преждевременно опадают, сильно оголяя цветущие кусты.
при сильном поражении пятна могут появляться и на черешках листьев, и на молодых стеблях. Стебли засыхают.8 ноября 2019 в 22:24 #133124
Оксана ГулаМодераторКоричнево-мраморный клоп (Halyomorpha halys)
Повреждает более 300 видов растений, предпочитает плодовые и овощные культуры.
Взрослые насекомые длиной 12-17 мм, коричневатые или сероватые (окраска сильно варьирует). Характерной особенностью является наличие светлых колечек на усиках и чередующихся светлых и темных участков на видимом сверху тонком боковом крае брюшка.
Вредит тем, что делает проколы, высасывает соки. При этом, в место прокола вводит слюну с ферментами, из-за чего происходит деформация тканей, раненое место темнеет, начинается некроз. Кроме того, через повреждения в растения проникают возбудители болезней.
9 ноября 2019 в 9:08 #133132
Оксана ГулаМодератор9 ноября 2019 в 9:57 #133137
Оксана ГулаМодератор14 ноября 2019 в 3:33 #133433
Оксана ГулаМодераторЧервецы (Pseudococcidae)
Мелкие насекомые длиной 3-6 мм. Тело самки овальное, покрыто порошковидным воском. Задний конец или весь край с восковыми пластинками разной длины. Одна самка откладывает до 400 яиц за сезон.
Питается мучнистый червец соком растений, выделяя сахаристые вещества на которых поселяется сажистый грибок.14 ноября 2019 в 3:46 #133438
Оксана ГулаМодератор14 ноября 2019 в 9:14 #133442
Оксана ГулаМодератор24 ноября 2019 в 23:56 #134167
Оксана ГулаМодератор30 мая 2020 в 13:34 #146385
Оксана ГулаМодераторПилильщик розанный (Arge ochropus)

(На фотографии пильщик розанный на листе малины)Небольшое насекомое, 7 — 10 мм в длину, желто-красного цвета с черной головой и грудью. Повреждает розоцветные, в основном розы, шиповник, клубнику. Основной вред наносит личинка. Гусеницы младшего возраста сильно объедают листву.
Повреждения нисходящего и восходящего пилильщика разнятся. Личинки нисходящего розанного пилильщика прогрызают в стебле полость, в результате чего побеги темнеют и увядают. Восходящие ложногусеницы в основном передвигаются по нижним поверхностям листьев.30 мая 2020 в 14:18 #146391
Оксана ГулаМодераторТля зеленая розанная (Macrosiphum rosae)
Мелкий, длиной 2 — 3 мм, сосущий вредитель. Зеленого, иногда бурого цвета, с длинным мечевидным хвостиком. Трубочки и усики черные. Питается соком тканей молодых листьев, побегов, бутонов, розы, вызывая их деформацию. При большой численности тли поврежденные части растения покрываются липкими выделениями вредителя.
За сезон развивается семь поколений тли, образуя многочисленные колонии вредителя. Поврежденные бутоны часто не раскрываются и засыхают.4 июня 2020 в 15:19 #146780
Оксана ГулаМодераторОленка мохнатая, или бронзовка мохнатая (Epicometis hirta)
Небольшой (до 12 мм) черный жук, покрытый сероватыми волосками и характерными белыми пятнышками. Как и бронзовка золотистая, повреждает бутоны, выедая тычинки, пестики и лепестки роз.
Сначала питается на одуванчике, тюльпанах, ирисах. Затем на цветущих плодовых и ягодных культурах. После, снова на цветочных.4 июня 2020 в 23:03 #146803
Оксана ГулаМодераторОрехотворка розанная, или розанный диплолепис (Diplolepis rosae)
Орехотворка розанная — очень мелкое насекомое, длиной около 4 мм. Повреждает в основном шиповник, но встречается и на розах.
Самки в мае откладывают яйца в почки шиповника, примерно через месяц на листьях и концах побегов появляются галлы, покрытые многочисленными ответвлениями (похожими на волосы). В апреле следующего года из них выходит новое поколение насекомых.
При большой численности ослабляют растение.4 июня 2020 в 23:13 #146807
Оксана ГулаМодераторОрехотворка толстостенная, или толстостенный диплолепис (Diplolepis mayri)
Очень мелкие насекомые, до 4 мм в длину. Повреждают и розу, и шиповник.
Личинки на листьях, цветках и плодах, образуют неправильно-округлые, крупные (до 4 см в диаметре), многокамерные, деревянистые, толстостенные галлы, в которых они живут и питаются.
При большой численности ослабляют растение.15 июня 2020 в 11:20 #147706
Оксана ГулаМодераторЗлатогузка, или шелкопряд золотистый, золотучка (Euproctis chrysorrhoea)
Вредитель плодовых косточковых и семечковых культур, леса, городских зеленых насаждений.
Бабочка с белыми крыльями с одноцветно-белой бахромой, с размахом крыльев – 21-40 мм. На конце брюшка пучок охристых или коричневых волосков, грудь и брюшко снежно-белого цвета с шелковистым отливом. Летает в ночные и вечерние часы, особенно активно при теплой погоде.
Вредит личинка — гусеница. Соскабливает мягкие ткани с поверхности листовой пластинки скелетируя ее.
Скелетированные листья гусеницы стягивают с помощью паутинок, устраивая, таким образом, зимние гнезда. Гнезда располагаются на деревьях в наиболее прогреваемых местах (по периферии крон).
21 июня 2021 в 14:55 #173131
Оксана ГулаМодератор21 июня 2021 в 16:31 #173162
Оксана ГулаМодератор -
АвторСообщения
- Для ответа в этой теме необходимо авторизоваться.











































































































