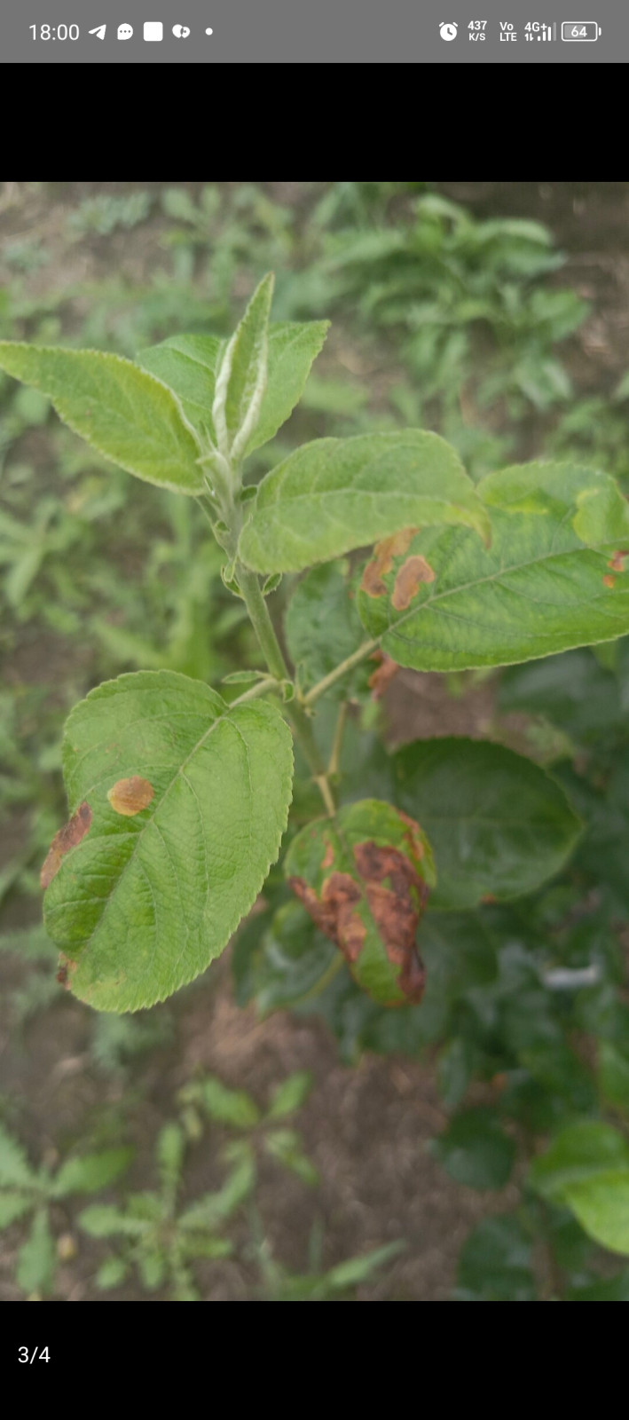
Помогите определить что с яблонями
Чтобы ответить в этой теме, войдите на сайт.
- В этой теме 1 ответ, 2 участника, последнее обновление 5 месяцев, 1 неделя назад сделано .
Просмотр 2 сообщений - с 1 по 2 (из 2 всего)
Просмотр 2 сообщений - с 1 по 2 (из 2 всего)
- Для ответа в этой теме необходимо авторизоваться.












